Aujourd’hui, nous avons fait du drift. En gros, vous vous laissez emporter par le courant de marée, qui se trouve être très impressionnant ici, aux Galápagos ! Sans exagérer, je pense que nous avons parfois été emportés à environ 20km/h. Jannis et moi étions équipé de crochets dérive, nous permettant de nous accrocher à une roche solide, tout en vérifiant avant qu’il n’y ait pas d’organisme fragile accroché.
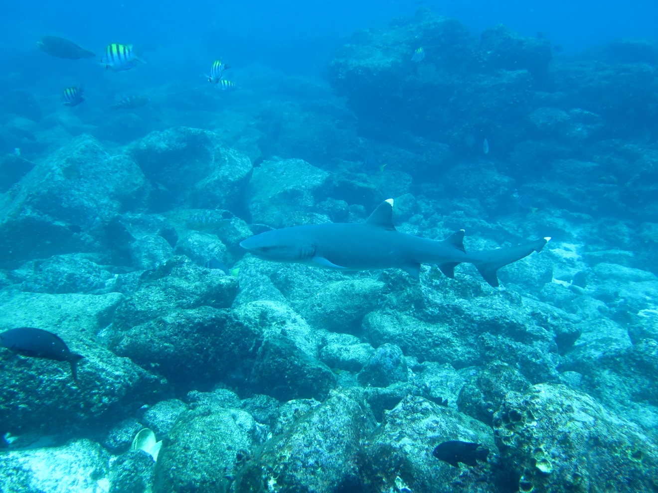
La première plongée, nous la faisons sur Mosquera. La plongée est belle et se termine par une rencontre avec un requin pointe blanche qui tourne autour de moi, à environ un mètre !
Entre deux plongées, nous profitons de faire du snorkeling avec les phoques des Galapagos, très joueuses.
Puis la deuxième plongée se fait sur Punta Seymour. Le courant y était vraiment violent et c’est là que des écoles de requins pointes blanches viennent y respirer (n’étant pas pourvus de branchies, seul son déplacement ou le courant lui permettent de s’oxygéner).
















il n’y a pas moyen de s’ennuyer un peu au paradis des Galápagos !! superbes photos et bisous
Même pas moyen, non, mais on apprécie !
Vous allez bien vous ?
Bises à tous de tous 😉